返回主站
当前位置:
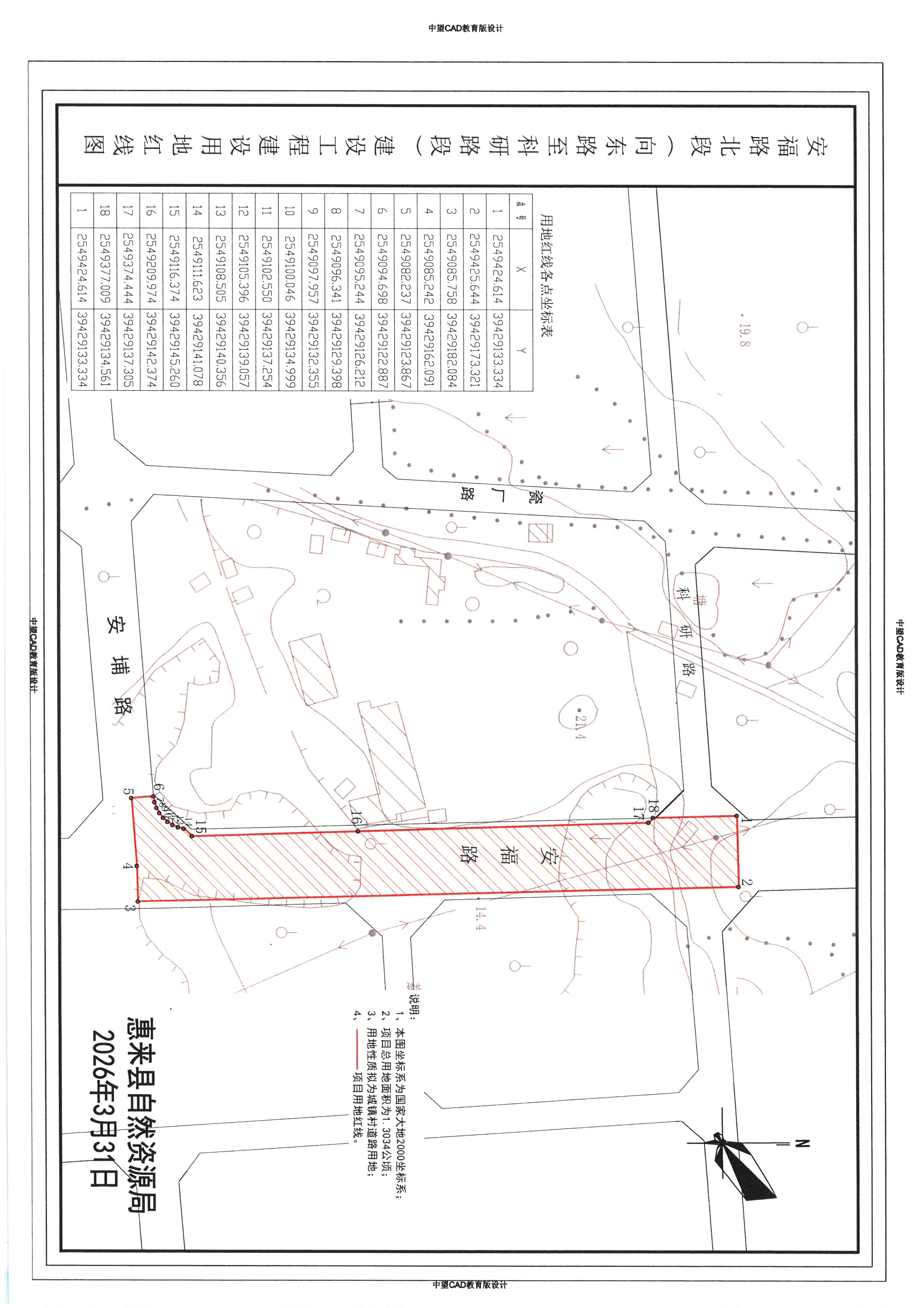
安福路北段(向东路至科研路段)建设工程建设用地规划许可事项批前公示
时间:2026-03-31 16:51
来源:本网
【浏览字体:
大
中
小
】
相关附件:
相关阅读
图片分享
分享到
更多...