返回主站
当前位置:
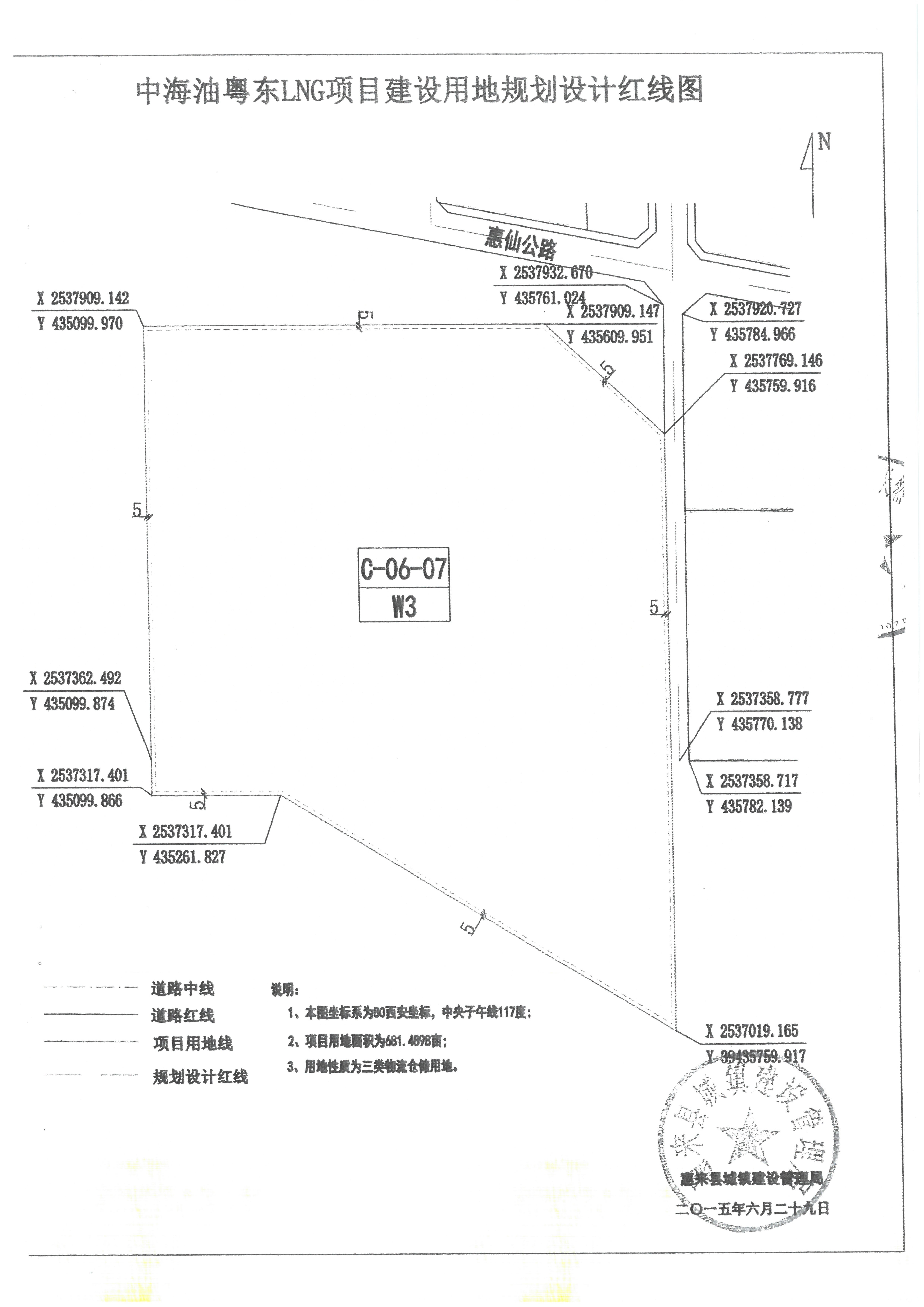
粤东LNG接收站外输能力配套工程项目(粤东LNG项目二期)建设工程规划许可证申请公示
时间:2023-12-08 17:22
来源:本网
【浏览字体:
大
中
小
】
相关附件:
相关阅读
图片分享
分享到
更多...