返回主站
当前位置:
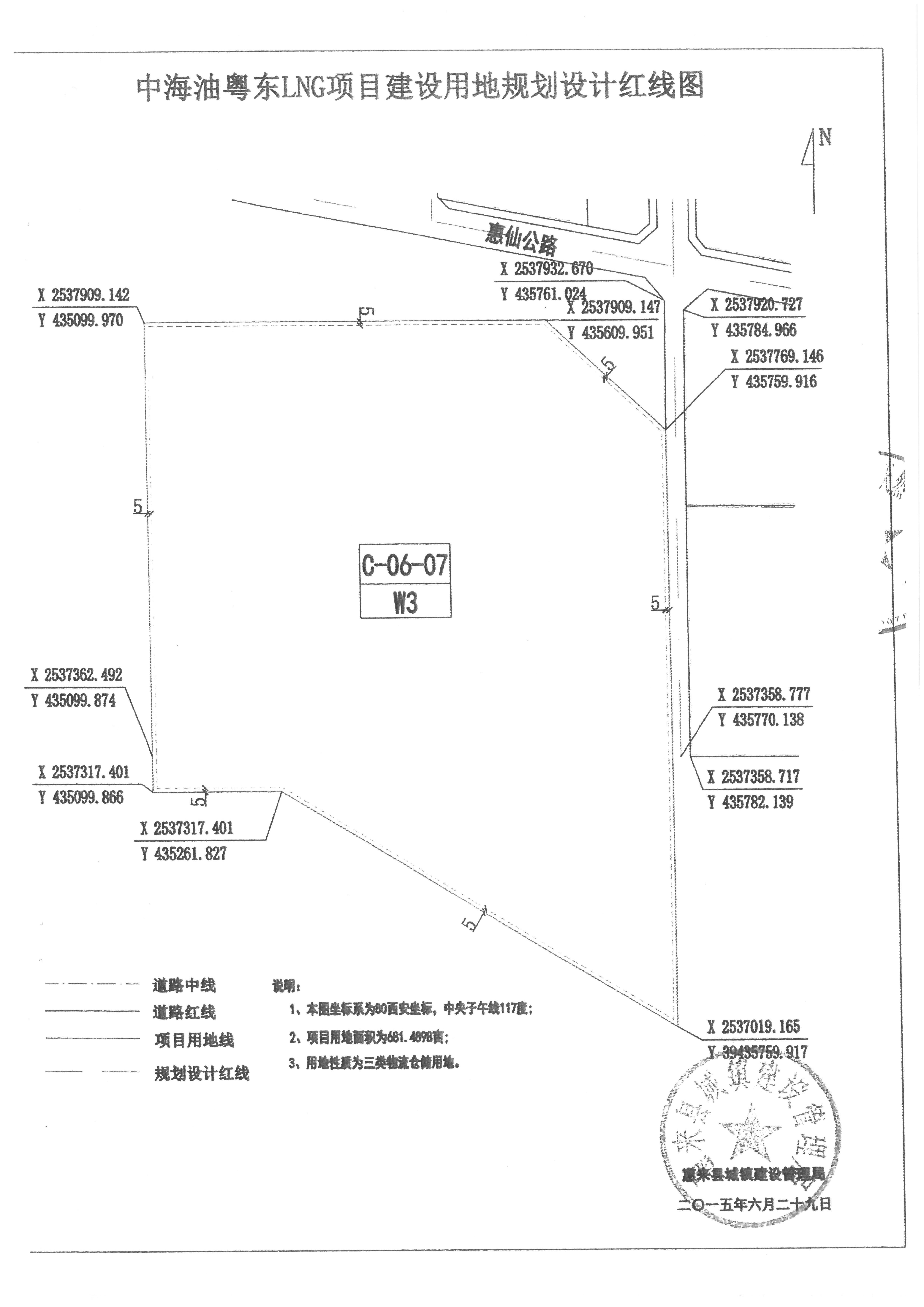
粤东LNG接收站外输能力配套工程项目(粤东LNG项目二期)建设工程设计方案总平面批后公告
时间:2023-12-18 16:53
来源:本网
【浏览字体:
大
中
小
】
相关附件:
相关阅读
图片分享
分享到
更多...