无障碍版
搜索
首页
政务公开
政务服务
互动交流
走进惠来
首页
>
新闻动态
>
部门动态
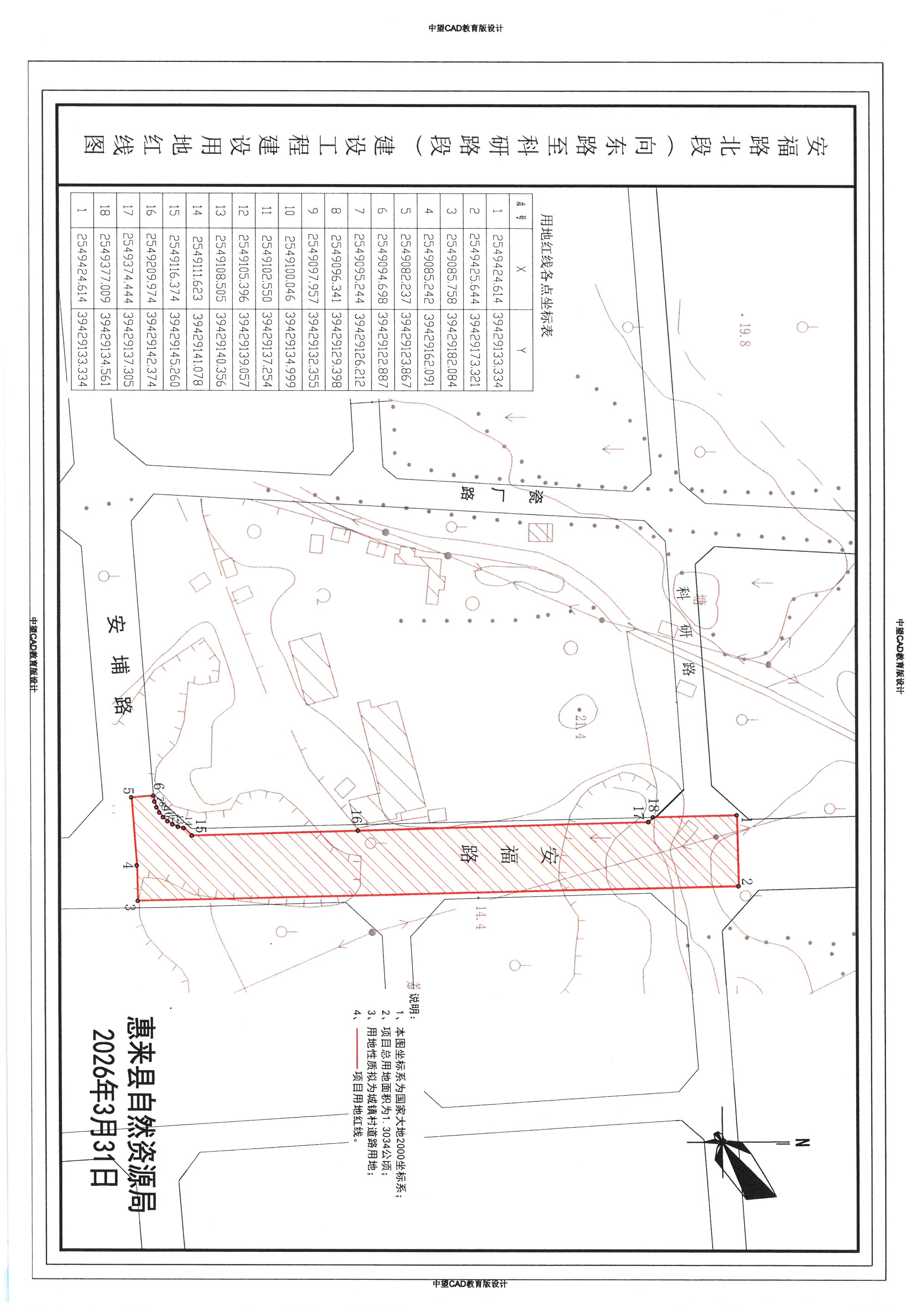
安福路北段(向东路至科研路段)建设工程建设用地规划许可事项批前公示
来源:本网
时间:2026-03-31 16:51
作者:
相关附件:
相关稿件: