无障碍版
搜索
首页
政务公开
政务服务
互动交流
走进惠来
首页
>
新闻动态
>
部门动态
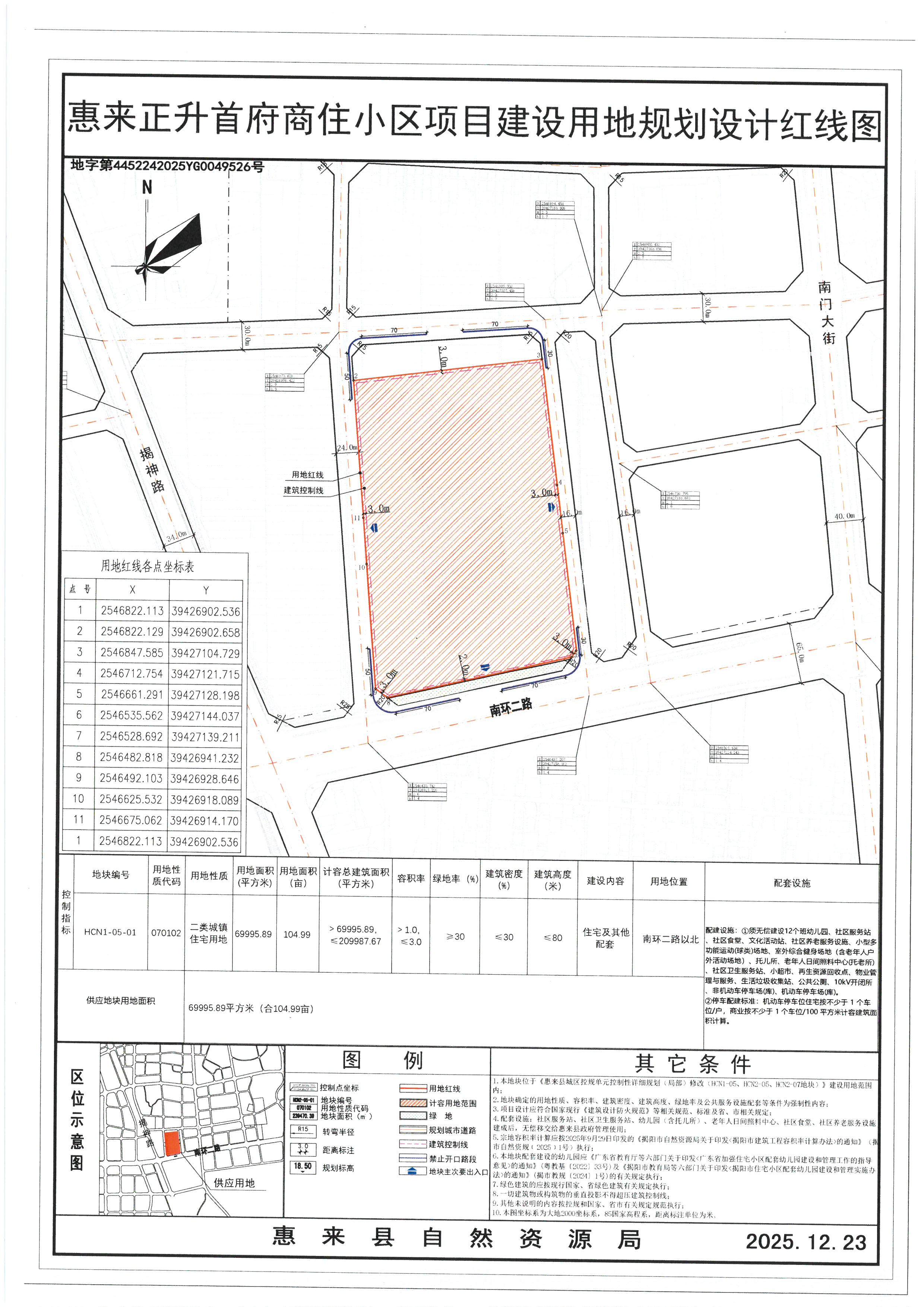
惠来正升首府商住小区项目建设用地规划许可事项批后公告
来源:本网
时间:2025-12-24 17:19
作者:
相关附件:
相关稿件: